Agathe
|
Help
Filters & Options
Show
All Results
(734)
Places and Monuments
(2)
Plans and Drawings
(154)
Images
(482)
Objects
(81)
Deposits
(15)
View as
List
Icons
Table
Map
References
Plans and Drawings
(4)
Classifications
Site
|
By Area
|
West
|
Tholos Complex
|
Plans and Drawings
Sign in
Provide feedback
Anything not working? Typos? Let us know.
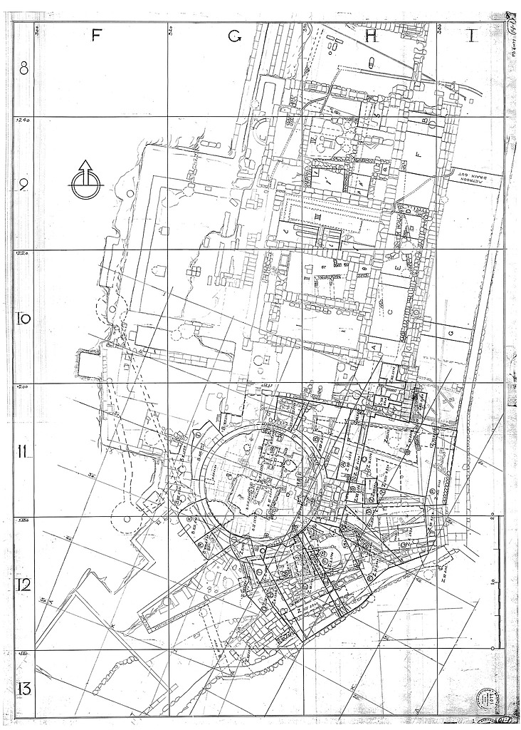
Image: 2002.01.1079
:
General plan of the area of the Tholos.
Archive Number:
2002.01.1079
Title:
General plan of the area of the Tholos.
PD Number:
PD 1079
Photographer:
J. Travlos
Rating:
1
References:
Plans and Drawings
(4)