Agathe
|
Help
Result
6
of
12
Filters & Options
Show
Everything
(382,540)
Publications
(2,251)
Reports
(96)
Places and Monuments
(77)
Plans and Drawings
(11,611)
Images
(154,235)
Objects
(47,223)
Coins
(4,631)
Deposits
(1,715)
Notebooks
(306)
More
View as
List
Icons
Table
Map
References
All References
(2)
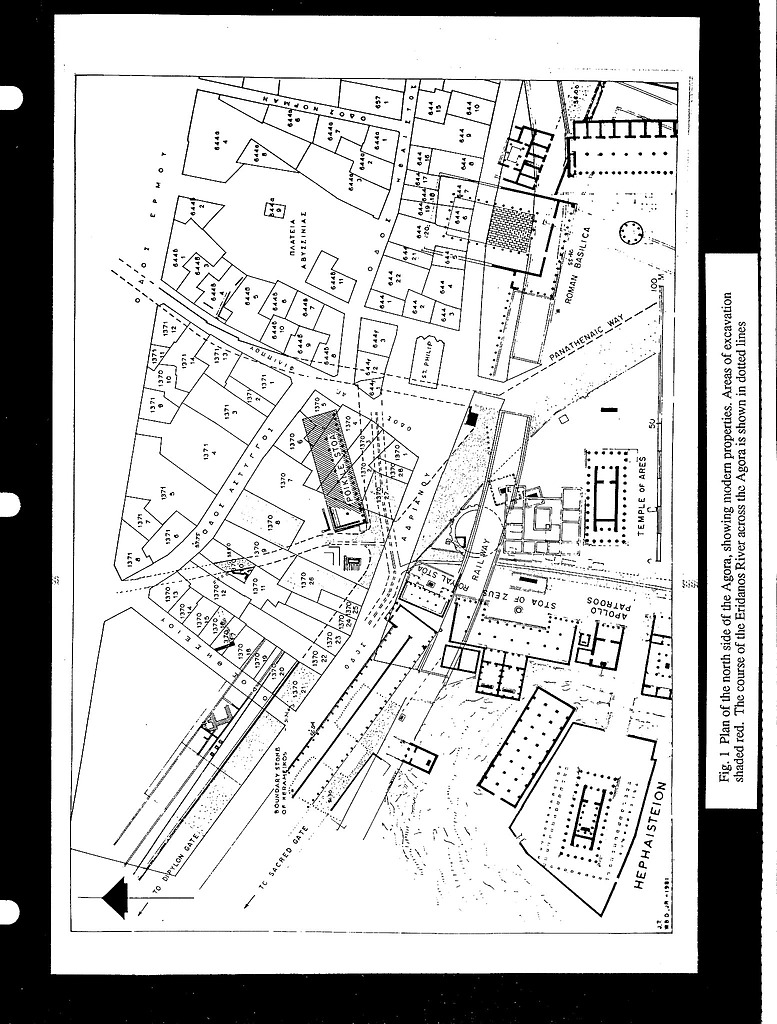
Report: 1991 Excavations
Image: 1997.01.0423 (88-348)
Sign in
Provide feedback
Anything not working? Typos? Let us know.
Report Page: 1991 Excavations, s. 6