icon

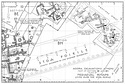
[Agora Drawing] DA 13450

Plan of section ΒΘ, showing the Stoa Poikile, the Eridanos River, and the orthostate enclosure ... James Herbst ... Digital file. Cf. 13446 ... 2019

icon

[Agora Drawing] PD 3084 (DA 13318)

Orthostate Block from Poikile Stoa ... Sofia Economou ... Heavy Tracing Paper Drafting Ink ... 2019

icon

[Agora Drawing] PD 3088 (DA 13322)

Step Block probably from the Poikile Stoa ... Sofia Economou ... Heavy Tracing Paper Drafting Ink ... 2019

icon

[Agora Drawing] PD 3089 (DA 13323)

Architrave from Poikile Stoa ... Sofia Economou ... Heavy Tracing Paper Drafting Ink ... 2019

icon

[Agora Drawing] DA 13673

Athenian Agora, Excavations 2022. State plan Section ΒΘ ... Digital file. In End of Season Preliminary Report 2022 ... 2022

icon

[Agora Drawing] PD 3014 (DA 12046)

Cross-section through eastern part of the Stoa Poikile, looking N.E. For John Camp ... Anne Hooton ... Digital drawing.

[Agora Drawing] DA 11833

Poikile Stoa inscription PD 2543. Squeeze on reused Euthenteria Block at the West End of Stoa

icon

[Agora Drawing] PD 2531 (DA 5858)

Bronze Byzantine pot from Section ΒΕ ... L.A.D ... 1980

icon

[Agora Drawing] PD 2528 (DA 2539)

Triglyph Block from the Stoa Poikile (possibly). Plan, front, and side views ... W.B. Dinsmoor, Jr ... Dirty Heavy Tracing Paper Drafting Ink Pencil ... 1982

[Agora Drawing] PD 2528 (DA 2540)

Triglyph Block from the Stoa Poikile (possibly). Plan, front, and side views ... W.B. Dinsmoor, Jr ... 1982

icon

[Agora Drawing] PD 2522-a (DA 2554)

N.-S. cross-section through section ΒΕ ... W.B. Dinsmoor, Jr ... Dirty Heavy Tracing Paper Drafting Ink ... 1982

icon

[Agora Drawing] PD 1808 (DA 2076)

Restored plan of the Stoa Poikile ... John Travlos ... Dirty Light Tracing Paper Drafting Ink ... 1968

icon

[Agora Drawing] DA 13446

Plan of section ΒΘ, showing the Stoa Poikile, the Eridanos River, and the orthostate enclosure ... James Herbst ... Digital file. Cf. DA 13450 ... 2019

icon

[Agora Drawing] DA 13387

Northwest corner of the Agora, all phases ... James Herbst ... Digital file. Student plan ... 2018 2019

icon

[Agora Drawing] DA 13388

Northwest corner of the Agora, Archaic and Classical phases ... James Herbst ... Digital file. Student plan ... 2018 2019

icon

[Agora Drawing] DA 13389

Northwest corner of the Agora, all phases with scarps ... James Herbst ... Digital file. Student plan. In preliminary report 2019, p. 8 (2019.10.0015) ... 2018 2019

icon

[Agora Drawing] PD 2897 (DA 12533)

Section BE, BH. Plan of Medieval remains lying over the Stoa Poikile ... Richard C. Anderson ... Digital file. Microstation dgn PD2897_BE-BH-07_MedH + StoaP.dgn ... 2007

icon

[Agora Drawing] PD 2528 (DA 15754)

Triglyph Block from the Stoa Poikile (possibly). Plan, front, and side views ... W.B. Dinsmoor, Jr. Sofia Takou ... Reworked PD 2528 ... 1982 2025

icon

[Agora Drawing] PD 2553 (DA 15759)

E.-W. cross-section through Section ΒΕ ... W.B. Dinsmoor, Jr. Sofia Takou ... Reworked PD 2553 ... 1983 2025

icon

[Agora Drawing] PD 1185 (DA 2236)

Stoa Poikile: proposed plan of corner of building; sketch ... William B. Dinsmoor, Jr ... 83-127 83-127 ... 1961

icon

[Agora Drawing] PD 2526 (DA 2534)

Top plan, bottom plan, and front elevation of an Ionic capital from the Stoa Poikile (possibly) ... W.B. Dinsmoor, Jr ... Dirty Heavy Tracing Paper Drafting Ink Pencil ... 1982

icon

[Agora Drawing] PD 2526 (DA 2535)

Top plan, bottom plan, and front elevation of an Ionic capital from the Stoa Poikile (possibly) ... W.B. Dinsmoor, Jr ... 1982

icon

[Agora Drawing] PD 2527 (DA 2545)

Restored 1/2 front elevation, section, and balteus of an Ionic Capital from the Stoa Poikile (possibly) ... W.B. Dinsmoor, Jr ... Dirty Heavy Tracing Paper Drafting Ink ... 1982

icon

[Agora Drawing] PD 2523 (DA 2569)

Front elevation of western end of the Stoa Poikile ... W.B. Dinsmoor, Jr ... Dirty Heavy Tracing Paper Drafting Ink ... 1982

icon

[Agora Drawing] DA 13445

Plan of the northwest corner of the Agora, showing the Classical Commercial Building along the north-south road ... James Herbst ... Digital file. In Preliminary Report 2021, pl. 1. Cf. DA 13389 ... 2020

icon

[Agora Drawing] PD 2897 (DA 13473)

Part of section ΒΗ showing Byzantine levels and the underlying Classical stoa ... Richard C. Anderson ... Digital file. 2009.01.0341 2009.01.0341 ... 2007

icon

[Agora Drawing] PD 2522-2003 (DA 13503)

Cross section of the Stoa Poikile, with Doric columns outside, Ionic within; ca. 470-460 B.C ... W.B. Dinsmoor, Jr ... Version of PD 2522 for the AgoraPicBk 16 (2003). Greek and English (linked). 2008.20.0084 2008.20.0085 2008.20.0084 2008.20.0085 ... 2003 1982

icon

[Agora Drawing] PD 2897 (DA 12408)

Part of Sections ΒΕ and ΒΗ. Plan of Medieval Remains lying over the Stoa Poikile ... Richard C. Anderson ... Digital file. In End of Season Preliminary Report 2007, plan 2. 2009.01.0307 2009.01.0307 ... August 2007

icon

[Agora Drawing] PD 2526 (DA 15755)

Top plan, bottom plan, and front elevation of an Ionic capital from the Stoa Poikile (possibly) ... W.B. Dinsmoor, Jr. Sofia Takou ... Reworked PD 2526 ... 1982 2025

icon

[Agora Drawing] PD 1179 (DA 2237)

Stoa Poikile: wall block with nail holes ... William B. Dinsmoor, Jr ... 83-119 83-119 Torn Dirty Repaired Cartridge Paper Printing Ink ... 1961

icon

[Agora Drawing] PD 2543 (DA 2466)

Poikile Stoa - inscription on re-used euthynteria block at west end of stoa ... W.B. Dinsmoor, Jr ... 88-299 88-299 Dirty Heavy Tracing Paper Drafting Ink Pencil ... 1982

icon

[Agora Drawing] PD 2543 (DA 2467)

Poikile Stoa - inscription on re-used euthynteria block at west end of stoa ... W.B. Dinsmoor, Jr ... 88-299 88-299 Dirty Faded Xerox Printing Ink ... 1982

icon

[Agora Drawing] PD 2532-b (DA 2530)

Front elevation of the west end of the Stoa Poikile and the adjacent gateway (square) and arch, after 300 B.C ... W.B. Dinsmoor, Jr ... 88-302 88-302 Dirty Heavy Tracing Paper Drafting Ink ... After 300 B.C.

icon

[Agora Drawing] DA 13449

Plan of the northwest corner of the Agora ... James Herbst ... Digital file ... 2020

icon

[Agora Drawing] PD 2543 (DA 15758)

Poikile Stoa - inscription on re-used euthynteria block at west end of stoa ... W.B. Dinsmoor, Jr. Sofia Takou ... Reworked PD 2543 ... 1982 2025

icon

[Agora Drawing] PD 1176 (DA 2058)

Stoa Poikile: cross-section and elevation of the reconstructed entablature ... William B. Dinsmoor, Jr ... 83-126 83-126 Torn Dirty Repaired Cartridge Paper Drafting Ink ... 1961

icon

[Agora Drawing] DA 12594

Northwest corner of the Agora. Areas where excavations were carried out during the 2012 season ... Anne Hooton James Herbst ... In End of Season Preliminary Report 2012, fig. 1. Same as 2012.12.0410. Digital file ... 2012

icon

[Agora Drawing] PD 2533 (DA 2531)

Actual state plan and section of the gate at west end of the Stoa Poikile ... W.B. Dinsmoor, Jr ... 88-303 88-303 Dirty Heavy Tracing Paper Drafting Ink Pencil ... 1982

icon

[Agora Drawing] PD 2533 (DA 2532)

Actual state plan and section of the gate at west end of the Stoa Poikile ... W.B. Dinsmoor, Jr ... 88-303 88-303 ... 1982

icon

[Agora Drawing] PD 2533 (DA 2533)

Actual state plan and section of the gate at west end of the Stoa Poikile ... W.B. Dinsmoor, Jr ... 88-303 88-303 ... 1982